Правила проезда кольцевого перекрёстка в центре Кисловодска изменятся | |
Содержание | |
|
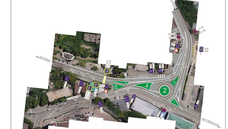
Обычно туристы подъезжают к Октябрьской площади со стороны проспекта Победы. Главным считается движение по кольцевому перекрёстку на проспект Первомайский, ведущий к Колоннаде и входу в Национальный парк. В будущем приоритетным могут сделать перпендикулярное направление — с улицы Куйбышева на Кирова через круг. Пока что для безопасного проезда на перекрёстке ставят столбики и обозначают треугольники и окружности. Островки безопасности хотят огородить бордюрами, как это было в советские годы, а затем изменить приоритетность дорог. «Если этого будет недостаточно для нормализации движения, то будем устанавливать светофоры, хоть они и замедляют движение. По итогу планируем сделать на островках безопасности красивые газоны и клумбы, а в центре круга — большой фонтан», — говорит глава Кисловодска Евгений Моисеев. Поделиться в: Следующий
Россиянам рассказали, что грозит за выбрасывание просроченных лекарств
Предыдущий Мошенники выманивают у россиян коды из смс, чтобы завладеть мобильными номерами
| |
|
Категория: Общество |
Источник материала | |